Objektbeschreibung
Drohnenflug:
Tauchen Sie ein in die Atmosphäre dieser Immobilie – unser Drohnenflug zeigt Ihnen eindrucksvoll die Umgebungund das Objekt aus der Luft:
YouTube FRE: VIDEO ANSEHEN [https://youtu.be/MNd3sb3t4Vc?si=LH1OaOHqsBUXDQDm]
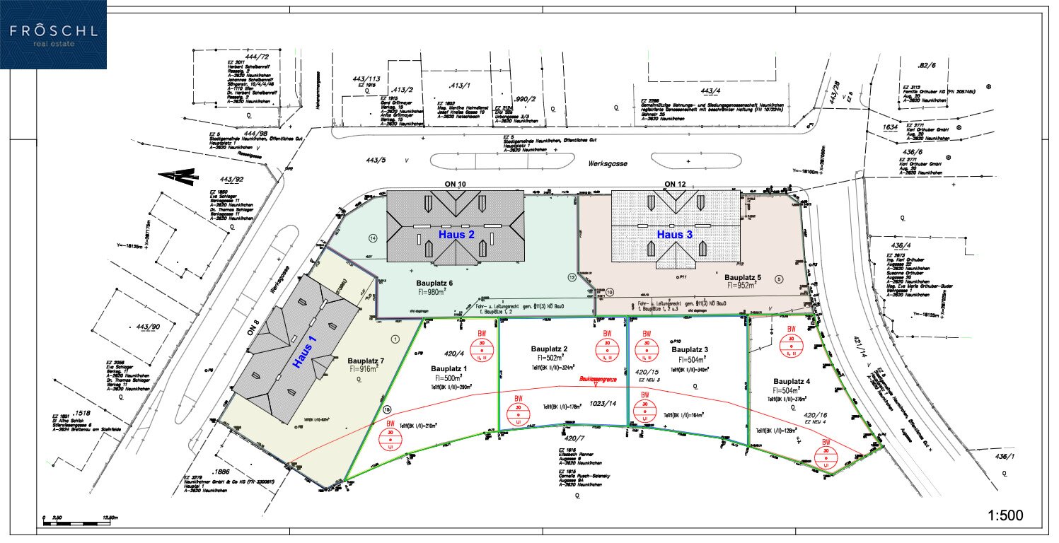
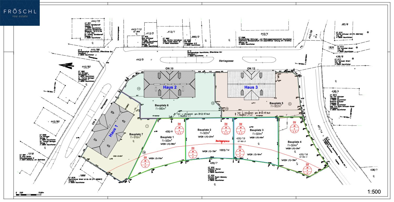
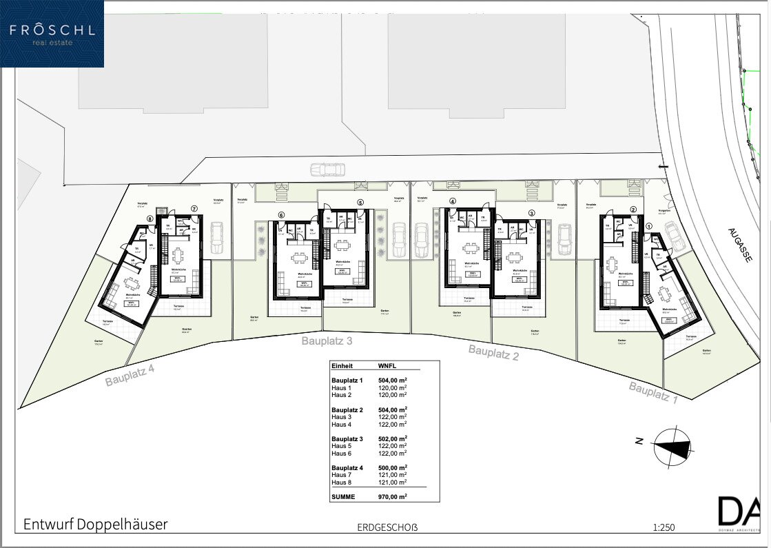
Dieser hochwertige Bauplatz im Herzen von Neunkirchen bietet eine seltene Gelegenheit für anspruchsvolle Bauherren und Investoren mit Weitblick.
Das ca. 500 m²
Mehr lesen
Objekt ID: 1222986
Preis: € 199.000
Nutzfläche: 0 m2
Gesamtfläche: 500 m2
Ziimmer insgesamt: 0
Schlafzimmer: 0
Badezimmer: 0
Miete/m2 €: 398
Nutzungsart: Anlage
Provisionspflichtig: ja
Provision: 3% des Kaufpreises zzgl. 20% USt.
Beziehbar: Nach Vereinbarung
unerschlossen























