Objektbeschreibung
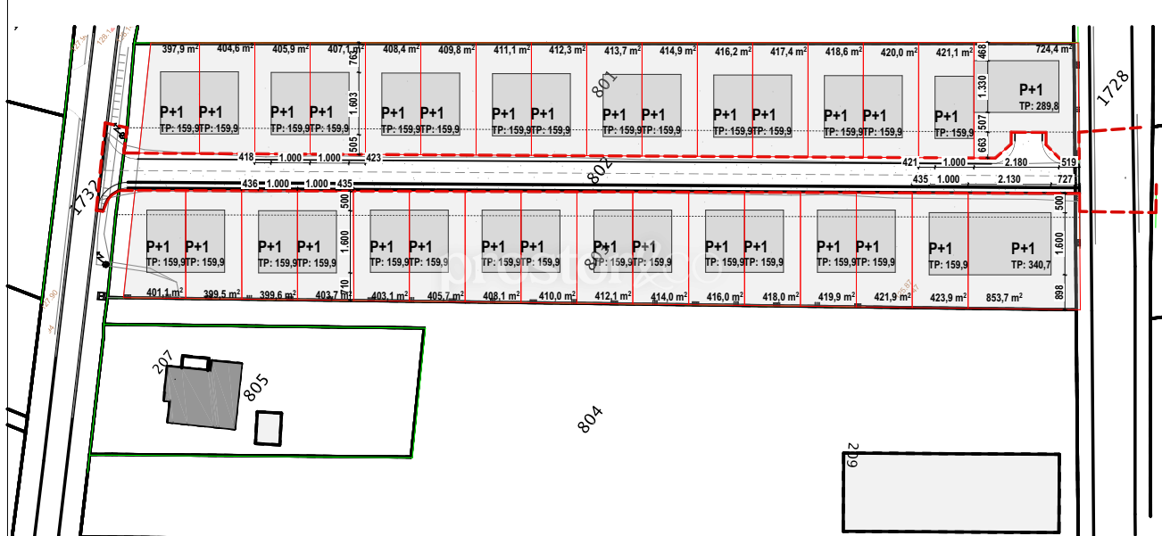
DONJA ZELINA – BAUGRUNDSTÜCK MIT KONZEPTLÖSUNG FÜR 22 PARZELLEN
In Donja Zelina, in einem ruhigen und städtebaulich definierten Teil der Ortschaft, steht ein Baugrundprojekt mit ausgearbeitetem Parzellierungskonzept für insgesamt 22 Baugrundstücke von ca. 600 m² zum Verkauf.
Es handelt sich um ein durchdachtes Projekt, das den Bau von freistehenden oder
Mehr lesen
Objekt ID: 2804981
Preis: € 60.000
Nutzfläche: 0 m2
Gesamtfläche: 0 m2
Ziimmer insgesamt: 0
Schlafzimmer: 0
Badezimmer: 0
Nutzungsart: Anlage
Provisionspflichtig: ja





