Objektbeschreibung
Wir weisen darauf hin, dass zwischen dem Vermittler und dem zu vermittelnden Dritten ein familiäres oder wirtschaftliches Naheverhältnis besteht.
Der Vermittler ist als Doppelmakler tätig.
Infrastruktur / Entfernungen
Gesundheit
Arzt <500m
Apotheke <500m
Klinik <1.500m
Krankenhaus <3.500m
Kinder & Schulen
Schule <500m
Kindergarten <500m
Mehr lesen
Objekt ID: 3105555
Preis: € 280.000
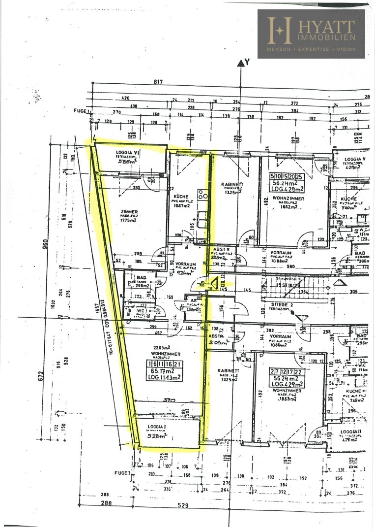
Nutzfläche: 76 m2
Gesamtfläche: 0 m2
Ziimmer insgesamt: 0
Schlafzimmer: 0
Badezimmer: 1
Nutzungsart: Wohnen
Provisionspflichtig: ja
Provision: 3% des Kaufpreises zzgl. 20% USt.
HWB: 89 kWh/(m²*a)
HWB Klasse: C
FGEE: 3.09
Energieausweis Art: Bedarf
Balkon/Terrassen - Fläche: 10
Beziehbar: sofort
WC: 1
Einbauküche
Personenaufzug
Parkett
Zentralheizung
Ähnliche Objekte
LAXURY: Provisionsfrei – 9. Stock dire...
€ 450.000
2
Schlafzimmer
1
Badezimmer
50 m2
Größe
März 30, 2026















